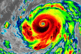
(Baohatinh.vn) - Theo Đài Khí tượng thủy văn Hà Tĩnh, sức gió mạnh nhất vùng gần tâm bão mạnh cấp 9 (75-88km/h), giật cấp 11. Di chuyển theo hướng Tây Tây Bắc, tốc độ 10-15km/h.
Vị trí và hướng di chuyển của bão số lúc 5h ngày 13/11/2024.
Hồi 4 giờ ngày 13/11, vị trí tâm bão ở vào khoảng 20,1 độ Vĩ Bắc; 116,8 độ Kinh Đông, trên vùng biển phía Đông Bắc của khu vực Bắc Biển Đông.
Sức gió mạnh nhất vùng gần tâm bão mạnh cấp 9 (75-88km/h), giật cấp 11. Di chuyển theo hướng Tây Tây Bắc, tốc độ 10-15km/h.
Dự báo diễn biến bão trong 24 đến 72 giờ tới như sau:
Do ảnh hưởng của bão, vùng biển phía Bắc khu vực Bắc Biển Đông gió mạnh cấp 6-7, vùng gần tâm bão đi qua cấp 8-9, giật cấp 11, sóng biển cao 3,0-5,0m, vùng gần tâm bão 5,0-7,0m; biển động rất mạnh.
Tàu thuyền hoạt động trong các vùng nguy hiểm nói trên đều có khả năng chịu tác động của dông, lốc, gió mạnh, sóng lớn.
Việc nhận biết chuối chín tự nhiên hay bị ép chín bằng hóa chất không chỉ giúp bạn thưởng thức trọn vẹn hương vị mà còn là cách bảo vệ hệ tiêu hóa khỏi các tác nhân gây hại như đất đèn hay khí ethylene nồng độ cao.
Dự báo thời tiết Hà Tĩnh ngày 11/5: Nhiều mây, có mưa rào nhẹ và dông vài nơi; cần đề phòng lốc, sét, mưa đá và gió giật mạnh. Nhiệt độ dao động từ 23 - 32 độ C.
Những vụ bạo lực gia đình liên tiếp xảy ra tại nhiều địa phương thời gian gần đây cho thấy vấn nạn này vẫn đang âm thầm tồn tại với nhiều hệ lụy đáng lo ngại.
Tiếp xúc thường xuyên với khói thịt nướng, đặc biệt trong không gian kín làm suy giảm chức năng phổi, gây áp lực lớn lên hệ tim mạch, thận, tăng nguy cơ ung thư.
Trong nhịp sống đô thị Hà Tĩnh, shipper mang lại nhiều thuận lợi, nhưng khi việc gì cũng sử dụng tiện ích này thì ranh giới giữa tiện ích và lệ thuộc liệu có mong manh?
Không chỉ giữ lửa tổ ấm, những người mẹ ở Hà Tĩnh còn là điểm tựa tinh thần và người định hướng đạo đức, giúp con cái trở thành những “tế bào” khỏe mạnh trong xã hội hiện đại.
Giữa những bộn bề của cuộc sống hiện đại, nhiều người con ở Hà Tĩnh chọn quan tâm mẹ theo cách riêng của mình để những yêu thương không bị bỏ quên sau những lo toan thường nhật.
Ngày của Mẹ (hay còn gọi là Mother’s Day trong tiếng Anh) là dịp để mỗi người con tri ân đấng sinh thành, gửi một lời yêu thương tới mẹ - người phụ nữ đã dành cả đời vì gia đình.
Nhiều người trẻ ở Hà Tĩnh đang giao phó sức khỏe tinh thần cho mạng xã hội. Chỉ với vài cú nhấp chuột, họ dễ dàng tiếp cận hàng loạt nội dung tư vấn tâm lý, “chữa lành” online, nhưng đằng sau những lời an ủi ấy là không ít rủi ro và hệ lụy lâu dài.
Từ xa xưa, ở cả Hàn Quốc và Nhật Bản, phụ nữ thường sử dụng nước gạo lên men để làm đẹp. Theo họ, tinh chất từ gạo có thể làm mềm, sáng, phục hồi làn da.
Không phải thịt đỏ, cũng chẳng phải thực phẩm đắt tiền, nguồn sắt dồi dào đôi khi lại đến từ những loại trái cây quen thuộc mà nhiều người vẫn vô tình bỏ qua. Điều bất ngờ là chúng có thể mang lại lợi ích không hề kém cạnh.
Không khí lạnh muộn không nhất thiết là biểu hiện bất thường riêng lẻ của biến đổi khí hậu. Nhưng khi nó xảy ra trên nền khí hậu nóng hơn, ẩm hơn, cùng với nắng nóng sớm và nhiệt độ cao hơn trung bình nhiều năm, thì nguy cơ thời tiết cực đoan đi kèm sẽ lớn hơn.
Mật ong là thực phẩm tự nhiên giàu đường đơn, chất chống oxy hóa và một số vi chất. Dùng đúng thời điểm có thể hỗ trợ giảm ho, làm dịu cổ họng, bổ sung năng lượng và cải thiện cảm giác mệt mỏi.
Dư âm của kỳ nghỉ lễ dài ngày có thể khiến nhiều người chưa muốn quay trở lại công việc thường ngày. Muốn bắt nhịp với công việc, hãy xây dựng 4 cách dưới đây.
Do ảnh hưởng của rìa phía Nam rãnh áp thấp bị nén bởi khối áp cao lục địa phía Bắc, kết hợp với hội tụ gió lên đến 5.000m nên Bắc Bộ có mưa rào và dông, trong mưa dông đã xảy ra mưa đá, lốc sét.
Dự báo từ chiều 3/5 đến sáng 4/5, khu vực từ Nghệ An, Hà Tĩnh đến thành phố Huế có mưa rào và dông rải rác với lượng mưa 10-30mm, cục bộ có nơi trên 50mm.