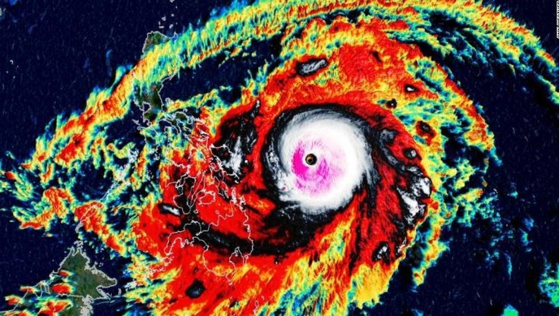
Surigae – cơn bão đầu tiên trong năm 2021 ở Tây Thái Bình Dương đang áp sát miền Đông Philippines.
Vào sáng nay (19/4), sức gió tối đa của bão Surigae đã giảm xuống còn 220km/giờ. Mặc dù không còn là siêu bão nhưng nó vẫn là một cơn bão mạnh, tương đương bão cấp 4 ở Đại Tây Dương.
Trước đó cuối tuần qua, Surigae đã đạt được sức gió cực đại là 305 km/giờ, trở thành cơn bão mạnh nhất được ghi nhận trong tháng 4, vượt qua cả cơn bão Maysak vào năm 2015 cùng một số cơn bão khác có sức gió 278 km/giờ, theo dữ liệu từ Cơ quan Khí quyển và Đại dương Quốc gia Mỹ.
Siêu bão Surigae trên ảnh vệ tinh hồng ngoại. Ảnh: Cơ quan thời tiết Philippines/CNN.
Bão Surigae sẽ suy yếu dần khi nó di chuyển song song với miền Đông và miền Trung Philippines trong 24 đến 36 giờ tới. Cơ quan Quản lý Dịch vụ Khí quyển, Địa vật lý và Thiên văn Philippines (PAGASA) đã ban hành cảnh báo số 2 đối với khu vực Luzon, Visayas, Northern Samar, Eastern Samar, Samar và Mindanao.
Các dự báo về hướng đi của Surigae đều cho thấy nó sẽ không đổ bộ trực tiếp vào đất liền Philipppines. Cơn bão sẽ di chuyển song song với miền Đông và miền Trung Philippines trước khi chuyển hướng tới miền Nam Nhật Bản.
Tổ chức Y tế Thế giới (WHO) tuyên bố đợt bùng phát dịch Ebola tại Cộng hòa Dân chủ Congo và Uganda là "tình trạng khẩn cấp y tế công cộng gây quan ngại quốc tế", do nguy cơ lan rộng dịch bệnh xuyên biên giới.
Cuộc gặp giữa ông Trump và ông Tập không tạo ra đột phá, nhưng cho thấy hai bên đều ưu tiên duy trì quan hệ ổn định, tránh để căng thẳng vượt tầm kiểm soát.
Ngay sau hội nghị thượng đỉnh Mỹ - Trung Quốc, Tổng thống Nga Vladimir Putin sẽ thực hiện chuyến thăm chính thức tới Trung Quốc trong hai ngày 19-20/5 theo lời mời của Chủ tịch Trung Quốc Tập Cận Bình.
Người phát ngôn Bộ Ngoại giao Mỹ Tommy Pigott ngày 15/5 thông báo Liban và Israel đã gia hạn lệnh ngừng bắn thêm 45 ngày, bất chấp bạo lực vẫn tiếp diễn ở miền Nam Liban giữa quân đội Israel và phong trào Hồi giáo Hezbollah.
Iran đã đề xuất tiến trình đàm phán giai đoạn đầu nhằm chấm dứt xung đột trên mọi mặt trận và nếu các điều kiện của Iran được đáp ứng, giai đoạn đàm phán thứ 2 liên quan vấn đề hạt nhân sẽ bắt đầu.
Ông Trump vỗ nhẹ 5 lần vào tay ông Tập khi hai lãnh đạo bắt tay trong 10 giây, thể hiện thái độ "nghiêm túc đặc biệt" và mong muốn củng cố quan hệ của Tổng thống Mỹ, theo các chuyên gia.
Ông Warsh, 56 tuổi, được phê chuẩn trong cuộc bỏ phiếu được xem là gây chia rẽ lớn nhất từ trước tới nay liên quan đến vị trí người đứng đầu Fed. Đây là lần thứ hai ông Warsh làm việc tại Fed.
Khi Tổng thống Trump đặt chân đến Bắc Kinh vào thứ Tư - chuyến thăm đầu tiên sau 9 năm - giới phân tích nhận định vị thế của hai cường quốc đã thay đổi đáng kể so với thập kỷ trước
Chiến sự Iran buộc các tàu hàng phải chuyển hướng vòng qua châu Phi để tránh giao tranh, nhưng họ phải đối mặt ác mộng mới khi cướp biển Somalia tái xuất.
Người phát ngôn Điện Kremlin cho biết chiến dịch quân sự đặc biệt của Nga có thể dừng lại nếu Kiev đưa ra các quyết định mà Moskva cho là cần thiết để thúc đẩy tiến trình giải quyết xung đột.
Nhiều ngân hàng trung ương chọn cách bán ròng vàng để giải quyết các vấn đề tài khóa nội địa, chứ không nằm ở xu hướng quay lưng với tài sản trú ẩn an toàn.
Ngày 10/5, Thủ tướng Liban Nawaf Salam cho biết nước này sẵn sàng ký một thỏa thuận hòa bình với Israel nếu các yêu cầu của Beirut được đáp ứng, đồng thời nhấn mạnh Liban đang tập trung vào việc chấm dứt các hành động thù địch và kết thúc xung đột.
Thuế quan của Mỹ đang đẩy ngành ô tô châu Âu vào vòng xoáy chi phí mới, khi các hãng xe lớn phải đối mặt nguy cơ căng thẳng thương mại xuyên Đại Tây Dương tiếp tục leo thang dưới thời Tổng thống Donald Trump.
Một kẻ đánh bom liều chết lái xe chứa thuốc nổ lao vào chốt kiểm soát cảnh sát tại khu vực Fateh Khel, Tây Bắc Pakistan; ít nhất 12 cảnh sát thiệt mạng, 5 người bị thương và 1 người vẫn mất tích.
Lực lượng dân quân Codeco bị cáo buộc thực hiện vụ thảm sát khiến ít nhất 69 người thiệt mạng tại tỉnh Ituri (miền Đông CHDC Congo), nơi tình trạng bạo lực kéo dài nhiều năm chưa được kiểm soát.
Lực lượng Phòng vệ Israel (IDF) sáng 9/5 thông báo đã tiến hành loạt không kích và tấn công trên bộ nhằm vào hơn 85 cơ sở hạ tầng mà Israel cho là thuộc lực lượng Hezbollah tại Liban.
Chính quyền Tổng thống Mỹ Donald Trump ngày 8/5 đã kháng cáo phán quyết của Tòa án Thương mại Quốc tế Mỹ liên quan tới mức thuế toàn cầu 10%, mở ra một cuộc chiến pháp lý mới về chính sách thương mại cứng rắn của Nhà Trắng.
Xin chào, Tôi là Chatbot của Báo Hà Tĩnh
Hãy hỏi tôi bất kỳ điều gì bạn cần biết về Báo Hà Tĩnh nhé. Tôi sẵn sàng hỗ trợ!